DZIAŁKA BUDOWLANA 7,54 AR + UDZIAŁ W DRODZE - KRAKÓW ul. Trockiego
750 000 zł Do negocjacji 994.69 zł/m2Na sprzedaż działka budowlana o powierzchni 7,54 ar wraz z udziałem w drodze wewnętrznej (ok. 0,5 ar) – łączna powierzchnia ok. 8 ar.
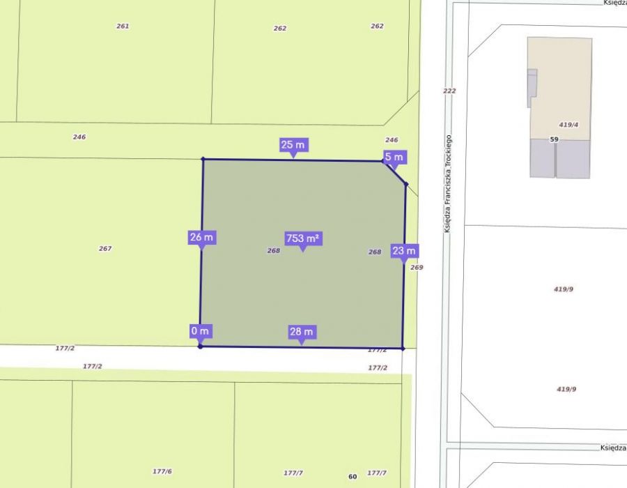
Nieruchomość położona w spokojnej, zielonej części Krakowa – Dębniki, ul. ks. Franciszka Trockiego, w otoczeniu nowych domów jednorodzinnych.
PARAMETRY DZIAŁKI:
Powierzchnia: 7,54 ar + udział w drodze ok. 0,5 ar (łącznie ok. 8 arów)
Wymiary: ok. 28 m × 26 m
Kształt: prostokątny
Teren: płaski, łatwy w zagospodarowaniu
Działka dobrze nasłoneczniona, z korzystną ekspozycją względem stron świata
Media: prąd, woda, gaz – w drodze, przy granicy działki
Dojazd: bezpośrednio z asfaltowej ul. ks. Franciszka Trockiego, następnie krótkim odcinkiem prywatnej drogi z udziałem
Działka objęta MPZP Skotnicka – Działowskiego (Uchwała Nr XXVI/326/07 Rady Miasta Krakowa)
Teren oznaczony symbolem 4.MU – zabudowa mieszkaniowa i usługowa.
Parametry zabudowy wg planu:
maksymalna wysokość zabudowy: 13 m,
powierzchnia biologicznie czynna: 70% powierzchni działki,
możliwość realizacji budynków mieszkalnych jednorodzinnych oraz nieuciążliwych usług (np. biuro, gabinet, mały punkt handlowy).
LOKALIZACJA I OTOCZENIE:
Dojazd drogą asfaltową
Spokojna, zielona okolica w sąsiedztwie nowych domów jednorodzinnych
Szybki dojazd do centrum Krakowa (ok. 13 km), autostrady A4 i lotniska Balice (ok. 15 km)
W pobliżu:
• szkoła – 4 min samochodem
• przedszkole – 500 m
• sklep – 3 min
• restauracje i kawiarnie – 5–8 min
• przychodnia – 8 min pieszo
• Pętla tramwajowa Czerwone Maki – ok. 3 km
Autor oferty
Zadzwoń
